Pronájem skladu, Adamov, 2000 m2 (ID: 1164369)
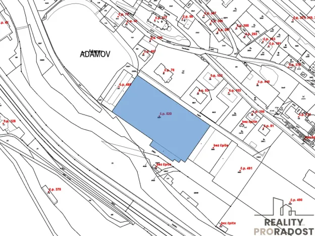
Adamov
/za metr čtvereční / rok
+ energie + DPH
Parametry nemovitosti
| Adresa | Adamov | 
|---|---|
| ID | 16037 | 
| Stavba | Skeletová | 
| Stav objektu | Velmi dobrý | 
| Patro | 1. z 2 | 
| Vybaveno | Ne | 
| Typ objektu | Přízemní | 
| Užitná plocha | 2000 m2 | 
| Zastavěná plocha | 7763 m2 | 
| Třída energetické náročnosti | G - Mimořádně nehospodárná | 
| Převod do OV | |
| Parkování | 
Popis
Ve výhradním zastoupení nabízíme pronájem části skladovací haly v Adamově. Jedná se o pronájem části skladovací haly, jejíž celková zastavěná plocha činí cca 7 000 m2. V této hale nabízíme k pronájmu plochu od 500 m2 s možností rozšíření až na 4 000 m2. Součástí haly jsou dva mostové jeřáby o nosnosti 5 tun a jeden s nosností 12 tun. V hale je k dispozici jak kancelářské, tak sociální zázemí. Dále jsou k pronájmu menší sklady mimo hlavní halu o výměrách cca 50 - 100 m2. Hala má dostatečný příkon elektřiny. K vjezdu do haly slouží výsuvná sekční vrata s velikostí pro vjezd kamionu.
Zároveň nabízíme v tomto areálu větší i menší skladovací či výrobní prostory, které lze využít výrobě.
Nabídka přímo od majitele:
Karel Svoboda
STROJE SVOBODA s.r.o.
Svitavská 2397
678 01 Blansko
Mobile/Whatsapp: +420 608 860 497
Bez provize RK, při uzavírání nájemní smlouvy se hradí pouze kauce ve výši jednoho měsíčního nájmu.
Přihlášení k odběru
Nenechte si ujít nejnovější nabídky pronájmu skladů v Adamově (okr. Blansko).
 
                                                                                     
                                                                                     
                                                                                     
                                                                                     
                                                                                     
                                                                                    