Prodej pozemku pro bydlení, Kutná Hora, 12172 m2 (ID: 1140510)

Kutná Hora, Neškaredice

1 150 Kč
/za metr čtvereční
Hypotéka od 5 Kč /měs. Chci hypotéku

Parametry pozemku

AdresaKutná Hora, Neškaredice
ID45423
Lokalita objektuOkraj obce
Plocha pozemku12172 m2

Origo partneři v Kutné Hoře

Popis

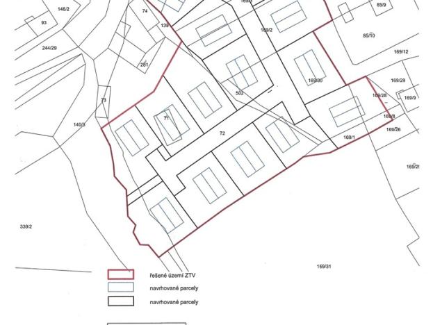
Pozemky k výstavbě rodinných domů, obec Neškaredice, 3km od Kutné Hory
Pozemky o výměře 12.172m2 v obci Neškaredice, 3km od Kutné Hory, možno rozdělit na 14 samostatných parcel.
Pozemky jsou dle územního plánu určeny k výstavbě domků vesnického typu. Elektřina, vod.řád, kanalizace na hranici . Hezké klidné místo na okraji obce.
Veškerá občanská vybavenost je v Kutné Hoře, která je vzdálena 3km. Obec se nachází 7km od Čáslavi a 15km od Kolína, dále 1,5km od silnice I.tř. č. 38 Havlíčkův Brod-Kolín. Z obce je autobusové spojení jak do Kutné Hory, tak i do Čáslavi.Vlaková zastávka v obci Církvice, trasa PH- Havl.Brod vzdálena 1,3km.

Makléř

Máte zájem o tento pozemek?

Tímto, v souladu s nařízením Evropského parlamentu a Rady (EU) 2016/679, v platném znění, prohlašuji, že mi je alespoň 16 let a uděluji tak svůj souhlas se zpracováním zadaných údajů (jméno, telefon, e-mail, ip adresa) společnosti B3 Technology, s.r.o., IČ: 07330600, se sídlem Novostavby 126/23, 435 11 Lom (správce dat), za účelem předání dotazu z tohoto formuláře Vámi vybranému inzerentovi a zpětného kontaktování mé osoby. Osobní údaje bude správce zpracovávat manuálně i automaticky přímo prostřednictvím svých zaměstnanců. Informace předané tímto formulářem budou uloženy v databázi správce maximálně po dobu 10 let. Odvolání souhlasu s uložením a zpracováním poskytnutých dat lze e-mailem na info@origo-reality.cz. V případě podezření na neoprávněné použití Vámi poskytnutých údajů máte právo předat podnět k šetření Úřadu pro ochranu osobních údajů. Více informací
Chystáte se prodat nemovitost?
Pomůžeme Vám!

Přihlášení k odběru

Nenechte si ujít nejnovější nabídky prodeje pozemků pro bydlení v Kutné Hoře.